玉溪市红塔区自然资源局工程建设项目
规划核实批前公示
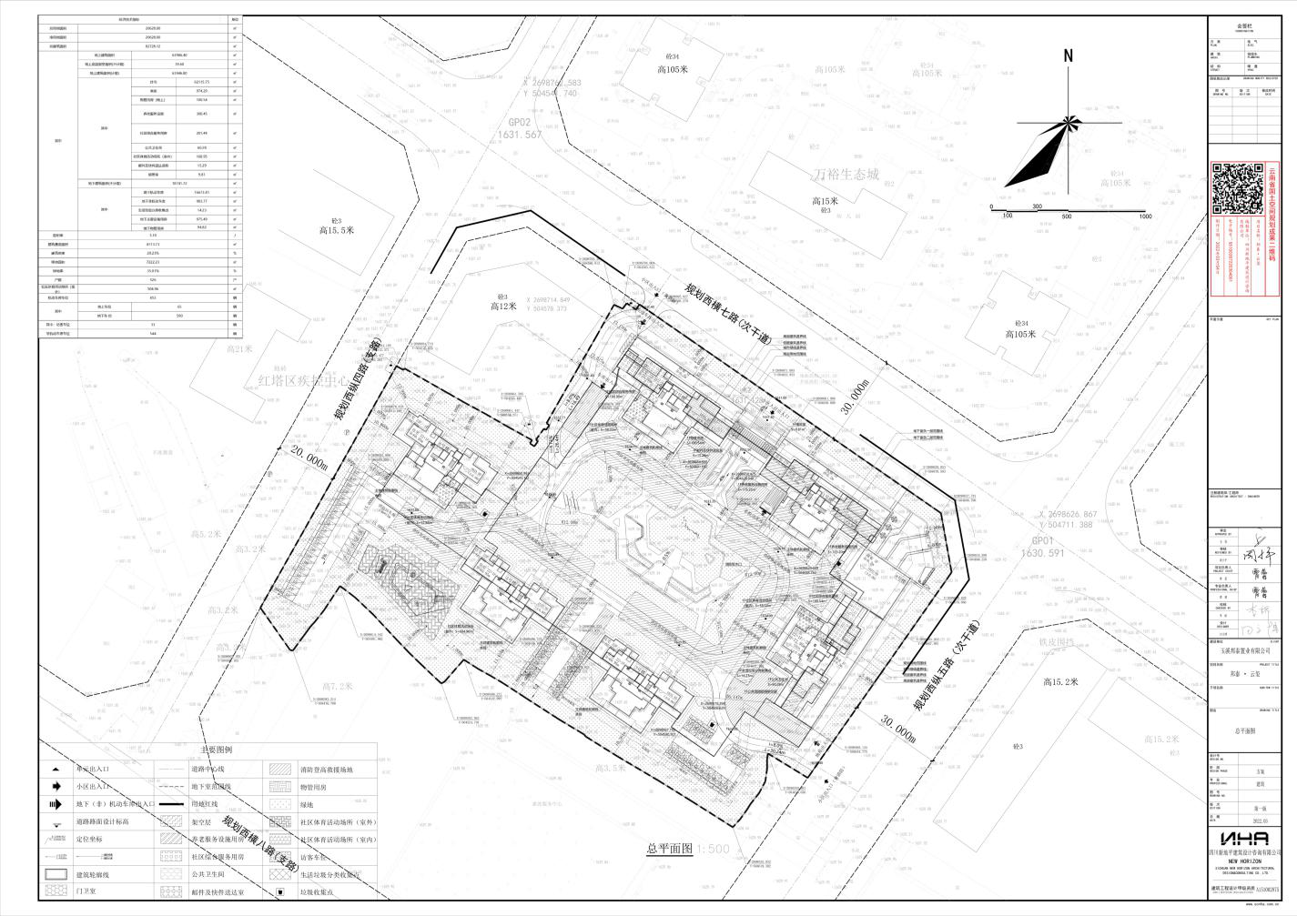
一、项目名称:邦泰·云玺
二、建设单位:玉溪邦泰置业有限公司
三、测绘单位:玉溪图致测绘有限公司
四、公示时间:2024年4月25日-2024年5月7日
五、意见反映电话:0877-2033131
六、情况简介
基本概况:项目位于玉溪市红塔区李棋万裕生态园南侧。项目于2022年3月15日核发建设工程规划许可证(建字第红塔区202200002号),现项目建设完成,申请规划核实。
经查验《建设工程规划竣工验收测量报告》及现场查看,该项目地块容积率、建筑密度、绿地率等主要规划控制指标符合批准方案及规划条件要求,总平面布局与原批准方案基本一致,局部进行微调,主要为:(一)2、3、5、6、7号楼局部设置1米宽防护挑檐。(二)优化住宅门头部分外立面效果。(三)1、2、6、7号楼住宅电井间隔墙调整。(四)1~7号楼住宅生活阳台与空调机位分隔处使用栏杆分隔。原设计单位出具了该调整内容符合设计规范的情况说明,调整的主要内容有利于提升小区景观品质、便利生活、完善安全管理。
规划核实项目基本情况:项目建设6栋住宅与底部商业,1栋独栋商业。总建筑面积:82722.12平方米,地上建筑面积63984.39平方米,地下建筑面积18737.73平方米,容积率3.10,建筑密度20.23%,绿地率38.29%,机动车655辆,非机动车544辆。
配套设施:物管用房:100.54平方米,养老服务设施:298.77平方米,社区综合服务用房:201.44平方米,公共卫生间:60.28平方米,社区体育活动场所:168.94平方米,邮件及快件送达设施:15.08平方米,值班室:9.60平方米。
七、相关图件
实测项目竣工规划验收平面图

现状照片


根据《中华人民共和国城乡规划法》等法律法规的规定,现将实测建设情况、竣工规划验收平面图及面积予以公示。公示期间,若有异议,请书面向玉溪市红塔区自然资源局反映,并提供相关证明材料。
注:因网站图幅限制,无法放大显示图件,如有需要,相关利害关系人可持身份证明材料到玉溪市红塔区自然资源局查阅。
首页
走进红塔
政务服务
招商引资
政府信息公开
滇公网安备 53040202000238号